对地观测数据可视化
NASA地球数据提供了许多查看图像和创建数据可视化的方法,无论您对自然灾害、陆地表面、水资源或海洋感兴趣。许多的……
Bluesky International和Hexagon的Geosystems部门之间的合作伙伴关系将看到最新的英格兰、苏格兰和威尔士的航空图像添加到最大的在线图书馆的orthop…
我们很少停下来欣赏现代测量技术是多么复杂。测量员使用最先进的物理学,有几十年的经验,在每个组件。因此,在如此复杂的体系中,……
最近一项以林业为基础的案例研究表明,无人机-激光雷达等遥感技术在识别电线附近的患病或受损树木和杂草方面具有价值,可预防……
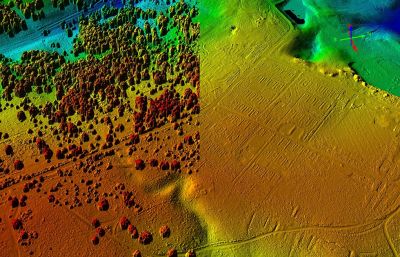
一种新的绘图工具使用了50多万张英国历史遗迹的航拍图像。过去30年里拍摄的照片和3D激光扫描发现了“隐藏的考古……
韩国的一个城市正在使用数字双胞胎,以成为一个真正的智慧城市。利用其地理空间基础设施将使其能够参与其机构和公众,以帮助满足当前和未来的需要。
空中客车防务与空间公司发布了新的全球数字高程模型WorldDEM Neo,提供了一个更新的、更精确的整个地球陆地的3D数据集,以提供广泛的服务。
已经设计了一种新的地理空间工具,帮助地方政府计划应对恶劣天气事件,支持恢复和加快保险索赔。基于澳大利亚的航空图像和位置分析pr…
哥伦比亚首都Bogotá区正在使用人工智能来分析通过地面和空中测绘收集的图像。通过确定家庭和社区需要…
欧洲创新伙伴关系(European Innovation Partnership)的一个旨在加速实现净零碳农业的项目,正在使用特别委托的激光雷达数据为未来的测量创建基线。使用……